Imágenes tomadas del perfil del periodista Emilio Rodríguez
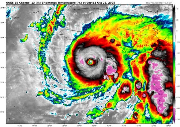
Melissa a las 5 a.m. del domingo, casi con categoría 4. Todo un fenómeno natural que según los modelos de Pronósticos debe impactar al oriente de #Cuba entre martes y miércoles.![]()
Cumpla con las orientaciones de la DefensacivilCuba DC. ![]()
Proteja la vida. #CubaHoy #Holguín.






